深圳市气象台
已于2023年08月30日20时00分
发布全市台风白色预警信号
预计台风“苏拉”(超强台风级)
将在48小时内影响我市

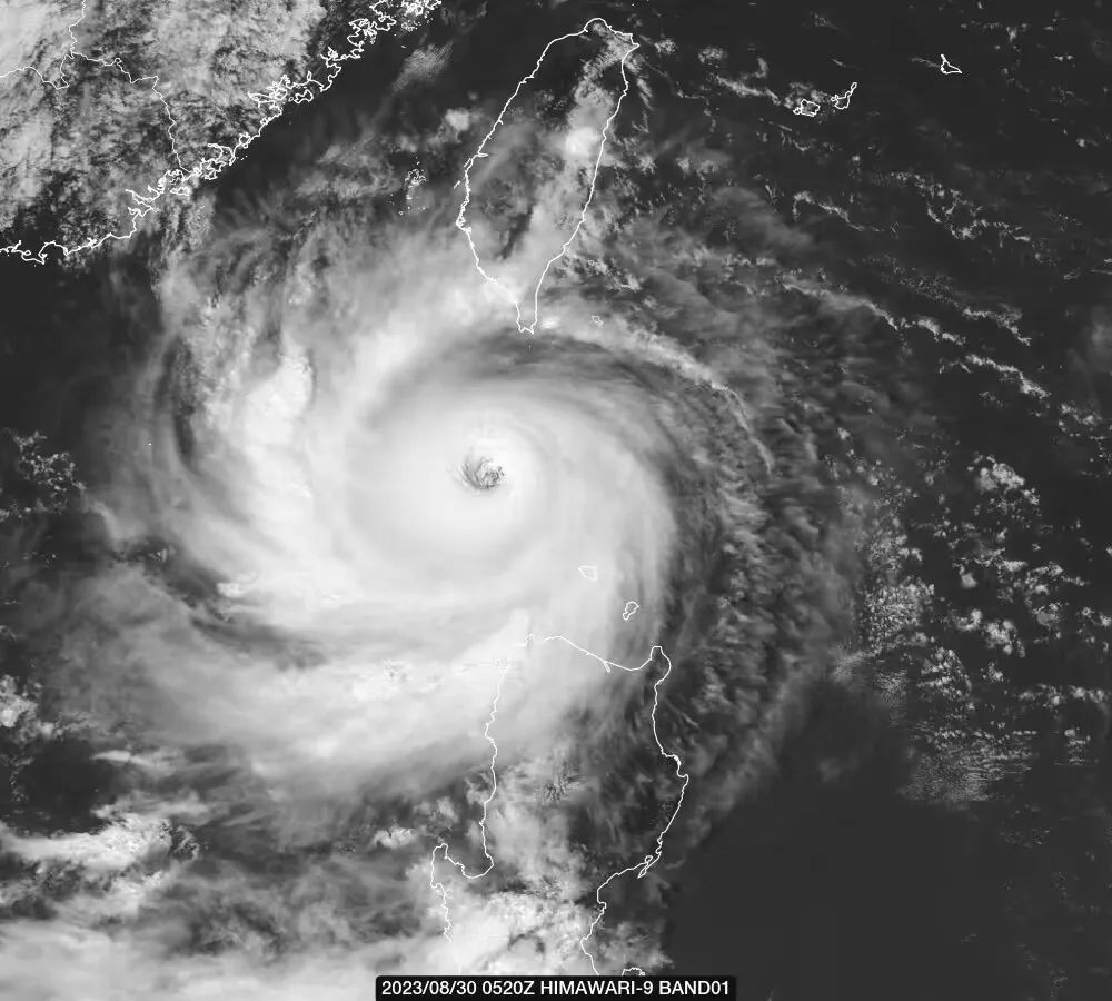
深圳市气象台2023年08月30日20时10分发布:今年第9号台风“苏拉”(超强台风级)8月30日19时位于深圳东南方约632公里的洋面上,中心附近最大风力17级(62米/秒)。预计“苏拉”将以每小时10-15公里的速度向西北方向移动,即将移入南海东北部海面,逐渐向广东中东部一带沿海靠近,有可能于9月1日白天以强台风级或超强台风级在广东惠来到香港一带沿海登陆,也有可能在广东东部近岸海面向西偏南方向移动,对深圳造成严重风雨影响的风险高,不排除正面袭击深圳的可能,深汕可能面临2013年强台风“天兔”以来最严峻考验。目前深圳台风白色、深汕台风蓝色预警信号生效中,后期将根据台风动态研判升级。
“苏拉”前期的路径是非常奇怪的(在海上画圈),也是预报近年来分歧最大的一个台风。

目前预计31日前路径预报稳定,受其外围环流影响,我市31日高温加剧,最高气温33-35℃,北部局地37℃以上,将发布全市(含深汕)高温黄色预警信号。
而随着“苏拉”进入南海后,其路径不确定性仍然较大。
“苏拉”具有强度强、范围小、移动速度慢的特点,深圳对登陆粤东台风的距离很敏感,路径偏移50公里风雨影响偏差1-2个量级。
结合各大机构最新预测,台风移入南海后其路径和影响有三种可能:

一是,“苏拉”在汕尾至珠江口登陆或100公里内近海擦过,对我市有超严重风雨影响,最高可发布台风红色预警信号。
二是,在揭阳以东登陆,对我市有一定风雨影响。
三是,在深圳近海大于150公里擦过不登陆,对我市有明显风雨影响,可能发布台风黄色或以下信号, 对深圳造成严重风雨影响的风险高,不排除正面袭击深圳的可能。

深汕可能面临2013年强台风“天兔”以来最严峻考验,深汕特别合作区已于30日9时发布台风白色预警信号,深圳市气象台已于30日20时发布全市台风白色预警信号,31日中午可能升级为台风蓝色预警信号。
台风苏拉对深圳影响研判的三个关键节点:
一是8月31日早晨:进入深圳600公里防区,明确台风登陆区域。
二是8月31日傍晚至夜间:确定9月1日是否发布台风黄色(停课)以上预警信号。
三是9月1日早晨:进入深圳350公里防区,明确台风登陆强度和登陆点。
请密切留意气象台发布的台风最新预警预报信息,做好防台风的各项准备工作。
一起来看最新天气预报
👇👇👇
具体天气

▲ 点击可放大
☑受台风“苏拉”外围下沉气流影响,31日我市多云炎热,气温27-34℃,中北部地区可达35℃或以上;
☑ 9月1-3日受“苏拉”环流影响,我市有暴雨局部大暴雨;
☑另外随着“苏拉”的靠近,1-2日我市的陆地平均风力逐渐加大至7-8级,阵风9-11级,沿海及海区平均风8-10级,阵风12-14级,深汕最大阵风可达16级以上。
安 全 提 示
深圳市气象灾害公众防御指引明白卡
请查收
👇👇👇

台风防御指南请查收
👇👇👇

台风的三大灾害
👇👇👇



市民朋友们
如需要应急管理部门帮助
可以拨打以下电话
👇👇👇

深圳应急提醒您:
学习安全知识,提高安全意识
掌握安全技能,加强安全防范

