深圳新闻网2019年1月3日讯(记者 施冰冰)据“龙岗发布”消息,2019年1月2日《2018年龙岗区城市更新单元计划第九批计划》公告出炉。
▼▼▼

这是2018年最后一批城市更新计划
这最后一批更新项目在哪里?
又有哪些街区将旧貌换新颜?
快跟发布君一起来看看 ~
▼

特别提示
❶本表所列的城市更新单元须按照城市更新相关政策完成城市更新单元规划编制及项目实施主体确认等工作后方可实施开发建设。
❷本表所列"申报主体"仅为城市更新单元计划的申报主体,项目实施主体须依据城市更新政策规定的条件及程序进行确认后产生。
❸本表所列城市更新单元的规划建设要求在城市更新单元规划审批过程中予以确定,除满足本表所列要求外,还应满足法定图则等上层次规划关于交通、市政、公共配套设施的建设要求和城市更新政策中公共利益项目等用地的移交要求。
根据《计划》龙岗区共公布了5个城市更新单元,拟拆除重建用地面积超过56万㎡,其中3个项目包含居住功能。
小伙伴们是不是超兴奋
别急,小编现在就给大家捋一捋
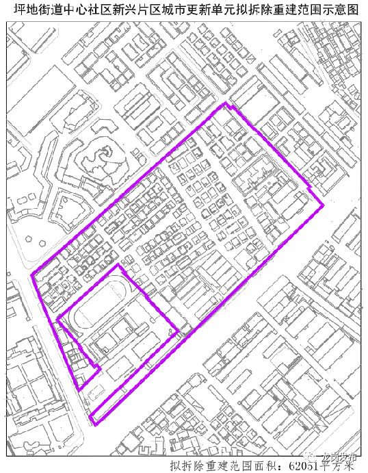
1
中心社区新兴片区城市更新单元

地点:坪地街道
拟拆除重建范围(平方米):62051
①拟更新方向为居住、商业用地功能。
②拟拆除重建范围内应落实不少于21717.7平方米的公共利益用地。
2
粤斯特工业区城市更新单元

地点:坪地街道
拟拆除重建范围(平方米):16681
①拟更新方向为新型产业、普通工业用地功能。
②拟拆除重建范围内应落实不少于3441平方米的公共利益用地。
3
西坑片区 GX01更新单元

地点:园山街道
拟拆除重建范围(平方米):364404
①拟更新方向为工业(M1+M0)、居住、商业用地功能。
②拟拆除重建范围内应落实不少于146709平方米的公共利益用地。
4
塘坑路北片区城市更新单元

地点:横岗街道
拟拆除重建范围(平方米):33236
①拟更新方向为商业用地功能。
②拟拆除重建范围内应落实不少于11632.7平方米的公共利益用地。
5
龙新社区赤石岗片区城市更新单元
地点:宝龙街道
拟拆除重建范围(平方米):88931
①拟更新方向为居住、商业用地功能。
②拟拆除重建范围内应落实不少于35092平方米的公共利益用
来源:龙岗发布
超56万㎡拟拆除重建!龙岗又一批城市更新计划出炉!
